Lépreux en pays d'Yveline
Maladie redoutée entre toutes, la lèpre a longtemps occupé une place singulière dans l’imaginaire et les pratiques sociales. Connue depuis l’Antiquité, elle suscitait une peur profonde, autant en raison de sa contagiosité et de ses manifestations visibles que de l’incompréhension médicale qui l’entourait.
Du haut Moyen Âge au XIIIᵉ siècle, le royaume s’est couvert de léproseries, établissements à la fois hospitaliers et lieux de mise à l’écart. Je reviens ici sur cette maladie, et sur les léproseries qui ont alors existé dans la région de Rambouillet.
Un peu de vocabulaire
Le lépreux est le malade atteint de la liepre qui devient lèpre au XIIIème siècle : du grec lepis,(croûte, écaille), qui a donné le latin lepra (maladie qui ronge).
En italien le terme de lazzaro ou lazzarone qui désigne le lépreux est tiré de la parabole de l’Evangile selon saint Luc, où un nommé Lazare, pauvre et probablement lépreux, se voit promettre par Jésus le Royaume de Dieu. Ce malade a été ensuite confondu par les chrétiens avec un autre Lazare, frère de Marthe, que Jésus ressuscite dans l’Evangile selon saint Jean. Saint Lazare est ainsi devenu le saint protecteur des lépreux.

Le lazzaro a donné le français lazre rapidement modifié en ladre. Parce que le malade –souffrant de ladrerie– était dénué de sensibilisation, le ladre a désigné plus tard une personne insensible, puis un avare.
On l’isolait dans une léproserie, aussi appelée maladière, maladerie, puis maladrerie, formé sur malade et ladre. On parle aussi de lazaret. Le terme est plus générique : dans les ports il désigne les lieux de mise en quarantaine, pour la lèpre, mais aussi pour toute autre maladie contagieuse.
La lèpre
Je ne vais pas me risquer à une description médicale ! Je rappelle seulement que contrairement aux épidémies comme la peste ou le choléra, qui touchaient des populations entières, la lèpre ne touchait que certains individus. Ils prenaient progressivement un aspect repoussant, mais ne mouraient pas rapidement de leur maladie dégénérative hautement invalidante.
Cette maladie d’infection chronique, causée par une bactérie, touche la peau, les nerfs périphériques, les muqueuses des voies respiratoires et les yeux. Elle provoque une perte de la sensibilisation, et peut conduire à des lésions osseuses destructives, voire à des mutilations. Elle est contagieuse, principalement par voie aérienne (gouttelettes nasales ou buccales).
Le nombre de lépreux explose au moment des croisades. La lèpre touche les pauvres comme les riches : Baudouin IV, roi de Jérusalem en meurt à 24 ans. Sont atteints aussi le roi Alphonse du Portugal, le roi Magnus de Norvège et bien d’autres membres des familles royales.
Combien étaient-ils en France ? Le testament de Louis VIII (1226) mentionne un legs de :« dix mille livres à deux mille léproseries, soit à chacune d’elles cent sous » et une source reprise sans vérifications durant plusieurs siècles évoque à cette date 19 000 léproseries dans toute la chrétienté dont 2000 dans un territoire français moitié de celui d’aujourd’hui.
Ces nombres sont cependant contestés par les historiens modernes qui invitent à rechercher des données régionales plus fiables, et sans doute plus modestes. Mais il reste certain que le nombre de lépreux a beaucoup augmenté durant les XII et XIIIème siècles, pour se stabiliser ensuite puis décroître dès le XIVème siècle. Au XVIIème siècle, lorsque Louis XIII commande une visite de toutes les léproseries du royaume, le rapport indique qu’il n’existe pratiquement plus de lépreux en France.
Le sort des lépreux
On ne comprend pas la lèpre si on la détache de la croyance religieuse. L’époque n’hésitant pas à allumer des bûchers pour se débarrasser de toutes les minorités embarrassantes, un lépreux aurait brûlé aussi bien qu’un hérétique ou une sorcière ! Mais être condamné à passer sa vie en prière dans une léproserie n’était-il pas une sorte de prédestination à l’état religieux ? Louis VII le pense : « Aux frères de Saint-Lazare, qui (…) s’efforcent par leurs prières continuelles, tout en souffrant de l’infirmité du corps, de mériter le salut des âmes. »

Et le Christ n’a-t-il pas enseigné que, comme Lazare, les personnes qui souffrent seront récompensées dans le monde à venir ?
L’Eglise précise dès le VIème siècle ( conciles d’Orléans (511) de Tours (567), de Lyon (583)) les devoirs des autorités religieuses puis celles des cités. Il ne s’agit pas de distinguer les lépreux pour les rejeter mais pour les confier à l’attention de l’Église. Le concile de Latran (1179) prévoit que si les ladres qui vivent en commun sont en assez grand nombre, ils peuvent avoir une église, un cimetière et un prêtre particulier.
Cependant, à partir du XIVème siècle l’attitude envers les lépreux change: les épidémies de peste font craindre la contagion. On fuit le contact, et les populations marginales sont progressivement repoussées. Le rituel d’entrée en léproserie, qui était au départ une cérémonie d’entrée en religion, se transforme en une sorte d’enterrement civil.
Encore fallait-il les reconnaître ! Dans chaque ville un jury composé de lépreux et de personnes saines devait donc vérifier dès les premiers symptômes si un malade était ou non lépreux. En effet, si certains ladres tentaient de cacher leur maladie, d’autres cherchaient au contraire à se faire passer pour des lépreux qu’ils n’étaient pas, afin d’être pris en charge par la communauté : en ces temps de grande misère, la vie en léproserie n’était pas toujours plus dure qu’à l’extérieur !
Le lépreux avéré était considéré comme mort. Il devait quitter sa famille, arrêter tout travail, abandonner tous ses biens… Son conjoint pouvait se remarier. Un cérémonial d’enterrement était prévu. Le lépreux était porté dans l’église sur une civière recouverte d’un drap noir, et il y entendait une messe. Il recevait ensuite l’habit de ladre (avec sur la poitrine un morceau d’étoffe, généralement rouge), et une crécelle ou une cliquette qu’il devait agiter pour prévenir les passants de son passage. Initialement la cliquette lui servait à prévenir de son passage, pour recevoir les aumônes. Plus tard elle sert au contraire à effrayer par crainte de la contagion.

frapper une tablette de bois)
On le conduisait ensuite en procession à son nouveau logis, et l’officiant bénissait ses objets usuels. Après l’avoir encore une fois exhorté à la patience et à la prière il plantait devant la porte une croix où l’on suspendait un tronc pour les aumônes.
Dans bien des cas le lépreux vivait dans une simple cabane de bois, qui était brûlée à sa mort. Mais si la communauté était assez riche, elle pouvait entretenir une léproserie organisée comme un monastère, qui recevait des dons, faisait fructifier ses biens, payait des personnes saines chargées de sa gestion. Frères et soeurs hospitaliers formaient alors avec les lépreux et lépreuses une vaste communauté. Certaines accueillaient les lépreux de familles nobles, voire royales, des cardinaux, des évêques etc… et bénéficiaient de legs et de dons importants, comme des abbayes ou des monastères et étaient organisées sur leur modèle.
Bien qu’en principe assignés à résidence, de nombreux lépreux voyageaient, en mendiant pour assurer leur subsistance. Ils étaient rarement les bienvenus dans les léproseries qui souhaitaient ne prendre en charge que les malades de leur localité, et de nombreuses villes, comme Paris (ordonnances de 1328), leur interdisaient le passage.
Pourquoi ces voyages ? Parfois leur léproserie d’origine les avait chassés pour non respect de règles, ou elle était trop pauvre pour leur assurer des conditions de vie décentes. Cependant la plupart des lépreux partaient en pèlerinage vers un sanctuaire réputé où ils pourraient être guéris par la grâce de Dieu et l’intercession d’un saint. Et souvent la nouvelle d’une guérison miraculeuse se répandait, attirant d’autres pèlerins. Les connaissances médicales ne permettaient pas de vérifier si le malade était bien atteint de la lèpre, et non d’une maladie bénigne présentant des symptômes ressemblants.
Ces déplacements étaient en tous cas un facteur certain de propagation de la lèpre, en dépit des précautions imposées.
Les léproseries du pays d’Yveline
D’après les indications fournies par l’acte de partage du comté de Montfort (1249), le testament d’Hervé de Chevreuse (1262) ou celui de Gui III de Lévis (1276) on peut estimer à près de 50 le nombre de léproseries du pays d’Yvelines. Elles étaient d’importance très inégale. Nicolas Rabourdin leur a consacré une étude en 1942, et j’y trouve ces quelques indications :
Châteaufort, Sonchamp, Auffargis, Orphin, Gazeran et Cernay-la-Ville avaient une léproserie, mais probablement très modeste. Il n’en reste aucun souvenir. On peut seulement imaginer que celle des Essarts était dans la parcelle cadastrale dite « la maladerie ».
On sait que Saint-Léger en avait une, créée tardivement, en 1509, à moins qu’il ne s’agisse alors de la reconstruction d’une léproserie plus ancienne. Mais où était-elle ?
Ablis, nous dit Rabourdin, « garde encore les ruines de sa maladrerie, fondée au début du XIIIe siècle par Gilon dit de Voise, qui lui donna, en 1248, 5 sols de blé.
Elle avait un prieur chargé du soin des lépreux, de l’ordre de Saint-Lazare d’abord et du Carmel ensuite. »
Nous possédons un peu plus d’informations pour les communes les plus importantes de cette époque. Par exemple, Saint-Arnoult disposait d’une léproserie sur la route de Rochefort. Elle accueillait certainement un nombre important de lépreux puisqu’elle disposait de sa propre chapelle, dédiée à Saint-Fiacre. Des lettres patentes de Louis XII lui permirent à partir de 1498 d’organiser une foire « franche » devant ses portes.
La léproserie de Dourdan était située au pied de la butte de Normont, sur la route des Granges. Un enclos renfermait les vignes et la chapelle, vaisseau sans ornements, percé de trois portes. L’une d’elles était réservée aux lépreux et donnait accès à un jardin au fond duquel se trouvait leur refuge.
D’abord appelée Saint-Lazare elle avait pris ensuite le nom de Saint-Laurent.
Une donation de Louis VII avait sans doute permis sa construction. Par la suite elle tirait d’importants revenus de l’organisation devant sa chapelle d’une foire annuelle. La maladrerie et sa chapelle ont finalement été rattachées à l’Hôtel-Dieu de Dourdan en 1696. Elle ne servait déjà plus depuis des années : lors d’une enquête préalable, en 1694, il avait été constaté que « De mémoire d’homme, on n’a vu de lépreux à Dourdan ».
(La foire a continué a être organisée par l’Hôtel-Dieu, avant de devenir, à l’époque révolutionnaire, la Grande foire de Ventôse).
Quant à la léproserie de Montfort-l’Amaury, elle faisait partie de l’Hôtel-Dieu fondé par Amaury V en 1239, avec une chapelle dédiée à Saint-Blaise. Une description de Montfort au XVème siècle témoigne de l’existence de la maladrerie « qui vaut deux cents livres tournois de revenus pour chacun an. Il y a une belle chapelle, fondée par Mgr saint Blaise et, le jour de sa fête, il y a marché, foire et grande assemblée publique. » (rapporté par Rabourdin)
Une enquête diligentée en 1612 signale qu’elle n’abrite plus alors « qu’une lépreuse à qui on servait une pension de cinquante sous par mois ».
Les léproseries les plus importantes comme Dourdan, Saint-Arnoult ou Montfort ajoutaient donc aux revenus de leurs terres, des recettes exceptionnelles, comme l’organisation de foires, exonérées de taxes, à partir du XVème siècle. N’est-il pas étonnant que des lépreux écartés du monde aient été organisateurs de foires accueillant un public nombreux ? Même si on imagine que seul le personnel « sain » chargé de la léproserie y participait, cela indique tout de même que la crainte de la lèpre était déjà bien réduite.

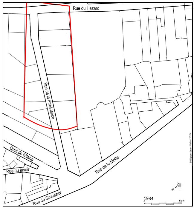
Et Rambouillet ? L’existence de sa léproserie est attestée par plusieurs documents, mais sans aucune indication. Or des recherches récentes, menées par Philippe-Jean Vallot nous renseignent : elle était située près de l’étang de Groussay, à l’emplacement de l’actuelle rue de la Providence (dont le nom a été choisi sans aucune référence à cette léproserie). Il précise : « la maladrerie était sans doute un petit bâtiment sur moins d’un hectare. Sachant que le taux de prévalence était de 5 à 8 lépreux pour une population de 1000 personnes, Rambouillet en comptant environ 700 habitants vers 1250 ne devait avoir que 2 à 3 lépreux (au mieux) dans sa communauté. » Son étude est en ligne sur cette page FaceBook.
C’est sans doute l’amélioration des conditions d’hygiène, plus que l’isolement des lépreux qui a permis la disparition progressive de cette maladie en Europe.
Abandonnées en majeure partie au moment des guerres de religion, les maladreries tombèrent en ruines. En 1692 Louis XIV décida la suppression de celles qui existaient encore, et le transfert de leurs biens à l’Hôtel-Dieu le plus proche.
Il restait en France, au XXème siècle une seule léproserie, située dans le Gard, à la chartreuse de Valbonne. Créée en 1929 en complément d’un sanatorium, elle accueillait principalement des malades de nos colonies d’Afrique et d’Asie, où la lèpre restait endémique.
Christian Rouet
décembre 2025















Passionnant, merci, je répercute ! Bonnes fêtes.